Candela

Elos Skin Rejuvenation

Elos Skin Rejuvenation

 

Elos Rejuvenation Treatment

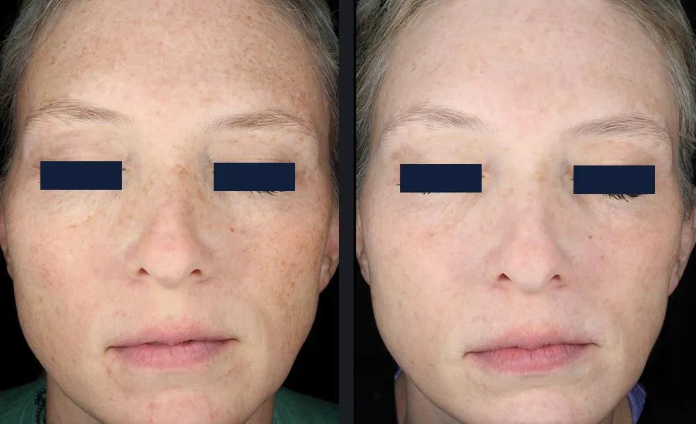
Rediscover the radiance of your skin with Elos Rejuvenation, at About Skin Laser Clinic Auckland, where cutting-edge ELOS™ technology merges with the essence of natural beauty enhancement. Amidst a sea of skin care options, ELOS™ stands out, offering a safer, more effective path to skin rejuvenation without the complexity of invasive procedures. This innovative approach effectively diminishes a variety of skin imperfections such as sun damage, uneven skin tones, rosacea, spider veins, and age spots, unveiling a smoother, more even complexion.

 

 

What is Elos Rejuvenation 

Elos Rejuvenation works its magic by stimulating collagen production, enhancing skin firmness, and improving overall texture. It softens fine lines, reduces pore size, and corrects signs of sun exposure, contributing to a youthful, glowing appearance. This treatment also targets and lightens freckles, pigmentation, and sunspots, while reducing the appearance of acne scars and stretch marks. Moreover, it harmonizes skin tone and alleviates the redness associated with rosacea.

 

 Innovative Technology 

The ELOS laser rejuvenation system combines the powers of laser light and bipolar radiofrequency energies to treat various skin concerns safely and effectively. This synergy targets both superficial and benign vascular and pigmented lesions, ensuring a comprehensive treatment that covers everything from rosacea and spider veins to fine lines, wrinkles, and texture irregularities.


About Skin

Book your appointment today

Want to book an appointment or have any questions? Phone us on 09 576 1550 or visit our contact page and enter your details. We will get back to you as soon as possible.

book an appointment